在 2009年5月訂機票時發現 '菲航' 有特價機票,"香港-馬尼拉-香港" 連 '香港' 的稅項只是 HK$640.-,但只有兩個位,所以小弟同遊遊雲就相約各友人在 '馬尼拉' 見。
出發前約 1個多月,'菲航' 至電說我訂的航班時間由原來的 08:00AM 改為 11:00AM,出發前到 '菲航' 辦事處才知道,'菲航' 把原本 08:00AM(PR312) 延遲至 11:00AM,而在 08:xxAM 加了一班加班機,因為我要在 '馬尼拉' 轉 15:45PM 的航班去 '公主港',所以要求可否轉往較早的航班,不過 '菲航'  職員以客滿為由,不能更改。
對換率:US$1.-/PHP46.-(約 HK$100.-/PHP590.-)
同道中人:Chris,Ming,Agrien,豹叔,Connie,Grayson,Wallace,遊遊雲 & 小弟。
2010年2月13日,Day-1:
航班約在 11:50AM起飛,14:00PM 到 '馬尼拉',14:30PM 才辦好入境手續及取得行李,因為 '菲航' 在 Terminal-1 & 2,而轉機是坐 'Cebu Pacific Airlines',辦登機手續在 Terminal-3,地理上是在機場跑道的另一邊,所以要坐車去,到了穿梭巴士站亦不見有車,最後坐上一部 '黃色的士',用了 PHP200.-,到達時當然是最後兩人 Check-In。
15:35PM飛機客人己經到齊並提早起飛,16:40PM 到達 '公主港-Puerto Princesa',9人分坐三部 '三輪車-Tricycle' 到住宿旅店-'Casa Linda',車程約 5分鐘,每車=PHP50.-。
2010年2月14日,星期日,Day-2,在 '香港' 己經約好 Shuttle Van 在 07:00AM 由 'Casa Linda Inn' 出發,一行 9人包車 點到點 共收 =PHP6,000.-,車程時天氣非常好。
房間單人用=PHP800.-,雙人用=PHP900.-,不包早餐,有空調,無熱水、電視,很多蚊(入房約 15分鐘,己殺 12隻),不過地點方便及第二天一早離開,所以沒要求。
放下行李後先到 'NCCC Mall' 準備糧水,18:00PM 到 'Lotus Garden' 晚餐。
這餐共=PHP3,289.50/9人。
10:00AM 左右己經到達 'Roxas City',在這間 '華僑餐廳' 食早午餐。
食品 OK,9人(連司機及跟車) =PHP1,080.-,入廁所時要經過廚房,見有些女工在做 '河粉'。
2010年2月15日,星期一,Day-3,08:00AM,昨天出前得知,現在 '愛尼島' 己向每位遊客收取 '海灣保育稅',每位成人 =PHP200.-/10天有效,所以出發前先交稅。
第一站:'Small Lagoon'。
當然也可以以這種方式進入。
後面較深色的位置是 '斷崖'。
晚飯在 'El Nido Corner',不過今天沒有 '班',老闆說:'明天可能有'。
06:30AM,一個人行往公眾碼頭方向,看見這餐廳,決定今晚試試。
07:30AM,坐車去看看有否好的海產,結果...
09:00AM 出發。
第二站:'Snack Island'。
第三站:忘記了!!!
第四站:'Pinagbuyutan Island'。
又完成一日的行程。
09:00AM 出發,第一站:'Helicopter Island'。
午後回 'El Nido Town' 後,其他人仕休息,小弟和 Wallace 兩人,先到 'Art Cafe' 午餐,再上山(每位 =PHP250.-)。
上山路口在第三街的村落入。
經過一個小時左右,到達山頂,可以一睹 '愛尼島鎮' 全景。
回望剛才的山。
晚影。
昨晚發現這間餐廳很多客,所以在此一試。
往晚飯途中發現有一間餐廳有一條好大條的 '芝麻班',價錢 =PHP650.-,決定先吃訂了位的餐廳後,再專誠去吃魚。
第二站:'Mitinloc Shrine'。
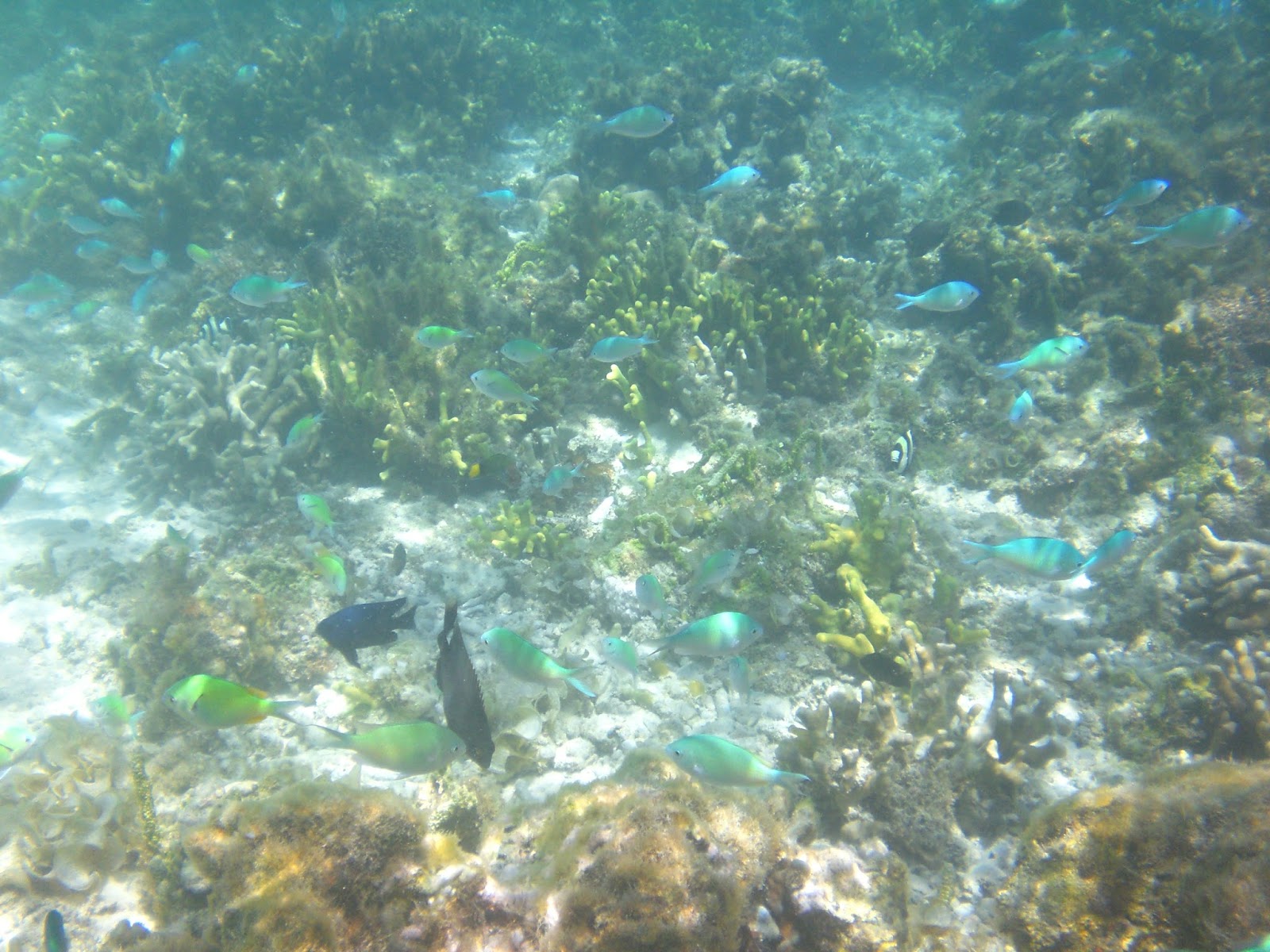
第三站:'Hidden Beach',跟上次不一樣的是,上次在沙灘下水,這次是在海中心下水,雖然水深有約 20-30英呎,不過珊瑚及魚都很多。
亦有專吃珊湖的海星。
晚上在 'Marber's'。
終於完整地完成 '愛尼島' 的 '上山下海' 遊,而 Tour A,B,C 及 D,亦一一遊歷,明天一早便要離開,原來同一地點,不同時期亦可看倒不同之處。
2010年2月19日,星期五,08:30AM,Shuttle Van 離開 'Marina Garden',中途可能因為司機未吃早餐,汽車駛入了 'Taytay' 市鎮,停留了約 30分鐘後離開。
'Taytay'
2010年2月20日,星期六,Day-8,住 'Casa Linda Inn' PHP900.-/晚,不包早餐,美式早餐=PHP180.-,因為食了幾日,想試其它,結果去了 'NCCC' 附近的小店。
約 15:00PM 到達 '公主港'。
08:30AM,用了 PHP50.- 坐三輪車到機場往 Manila。
到 Manila 後發現 Cebu Pacific 又重開了往 'Caticlan' 的航班,可以再去多次了。
竟然在只有約 1 Meter 水深的位置有 '毛仔'。
第二站:'Shimizu Island',這站是不夠時間上島的,就是這個水域浮潛,而這裡的珊瑚亦是最多。
第三站:'Payong Payong Beach'。
這個島有三個沙灘,前面最大的是 'Miniloc' 及 'Lagen' 的私人沙灘,其它遊人不能去。
第四站:'Big Lagoon'。
不過要小心像這位女仕,'浸親'!
第五站:'7-Commando Beach'。
PHP3,410.-。
2010年2月16日,星期二,Day-4,發覺 'Art Cafe' 的收費有些跟我們的理解有些不同,所以昨日回來後找了上次的船家---Harry,船費 =PHP3,200.-,約了 09:00AM 出發。
碼頭附近的油站傍,有船出售。
第一站:'Pangalusian Island'。
今晚食 '菲律賓' 餐,=PHP2xxx.-。
第一站:'Pangalusian Island'。
2010年2月17日,星期三,Day-5,經過兩天的跳島遊,為了給大家休息一天,所以今天作 'Tour-4' 的半天遊,船費 =PHP2,000.-。
第二站:'Paradise Beach'。
第三站:不知叫 'Natnat Beach' 或 'Bukal Beach'。
沿途需要爬一些尖石林,有時候都相當高及直。
這張相片是小弟以生命危險作賭注下拍的!!!
回到小鎮。
魚、蝦 及 1技白洒 =PHP2,580.-。
沿途需要爬一些尖石林,有時候都相當高及直。
這張相片是小弟以生命危險作賭注下拍的!!!
回到小鎮。
魚、蝦 及 1技白洒 =PHP2,580.-。






































































































































































沒有留言:
張貼留言